13821 N 16TH Way 9Phoenix, AZ 85022
Due to the health concerns created by Coronavirus we are offering personal 1-1 online video walkthough tours where possible.


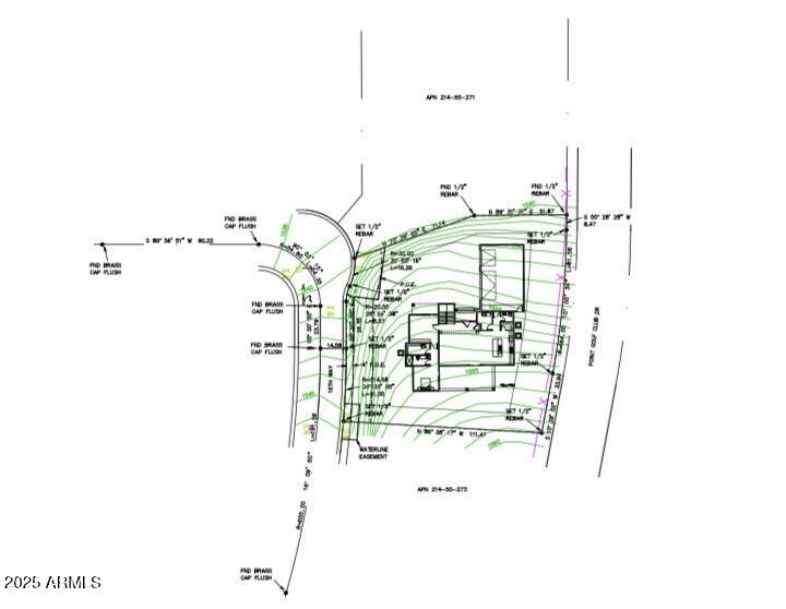
Build your dream home on this exceptional view lot perched at the top of the ridge in the exclusive gated community of Overlook Estates. One of only 15 custom homesites, this rare offering delivers stunning city and mountain views. Bordering the Lookout Mountain and Phoenix Mountain Preserve, the property provides access to premier hiking and biking trails, including Trail 100, North Mountain, and Lookout Mountain Park. The lot is build-ready with water, sewer, gas, and electric connections at the property. Previous surveys and pre-permit plans are available. Bring your own architect or use the existing plans to fast-track your custom build. Prime central location with quick access to AZ-51, Loop 101, and I-17, and just minutes to downtown Phoenix and Scottsdale. A rare opportunity in a highly coveted community. Surveys and prior plans available in the documents tab!
| 3 days ago | Listing updated with changes from the MLS® | |
| 3 days ago | Listing first seen on site |
All information should be verified by the recipient and none is guaranteed as accurate by ARMLS. Copyright 2025 Arizona Regional Multiple Listing Service, Inc. All rights reserved.
Last checked: 2025-12-05 05:10 PM UTC

Did you know? You can invite friends and family to your search. They can join your search, rate and discuss listings with you.